La IA predijo el 42.4% de los cánceres de intervalo concentrándose en el 20% de las mujeres con mayores puntuaciones de riesgo, superando a las herramientas de predicción convencionales.
A pesar de los análisis normales, presentaba reserva ovárica baja y hallazgos ecográficos anormales. Durante la cirugía se descubrió daño severo en sus órganos reproductivos, con adherencias, trompas bloqueadas y destrucción del tejido ovárico.
La vejiga hiperactiva se caracteriza por la pérdida del control del músculo vesical, afectando la capacidad de retener la orina, y es frecuente en mujeres y en hombres mayores con problemas prostáticos.
Aunque no existe una cura definitiva, los tratamientos actuales permiten alcanzar la remisión, un estado en el que el paciente no presenta síntomas ni actividad inflamatoria.
El tratamiento consiste en una única inyección en la cóclea que introduce una copia sana del gen OTOF mediante un virus desactivado.
El pólipo, de aproximadamente 3 × 1.7 × 1.5 cm, fue identificado mediante endoscopia y resecado completamente por polipectomía con asa diatérmica, con confirmación histopatológica de leiomioma positivo para Desmina y anticuerpo anti-músculo liso.
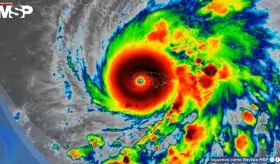
Cuba se encuentra en fase de alarma ciclónica, con todos los protocolos de emergencia activados para proteger la vida humana. Las autoridades insisten en no confiarse durante la aparente calma del ojo del huracán, ya que las ráfagas más fuertes suelen llegar después.
El sitio centraliza información médica y recursos prácticos sobre diagnóstico, causas, síntomas, manejo de la inflamación y tratamientos disponibles, además de ofrecer recomendaciones sobre estilo de vida, alimentación, ejercicio y apoyo emocional.
Los factores de riesgo incluyen la edad, el sobrepeso, la diabetes y los partos vaginales, aunque también puede presentarse en mujeres jóvenes sin antecedentes o factores predisponentes.
El aneurisma, detectado mediante una resonancia magnética, representaba un alto riesgo de ruptura y muerte, lo que obligó a una intervención urgente.
Algunos medicamentos, como la agomelatina, se asociaron con pérdida de peso, mientras que otros, como la maprotilina y la amitriptilina, provocaron aumento de peso y variaciones de hasta 20 latidos por minuto en la frecuencia cardíaca.










