Cuba se encuentra en fase de alarma ciclónica, con todos los protocolos de emergencia activados para proteger la vida humana. Las autoridades insisten en no confiarse durante la aparente calma del ojo del huracán, ya que las ráfagas más fuertes suelen llegar después.

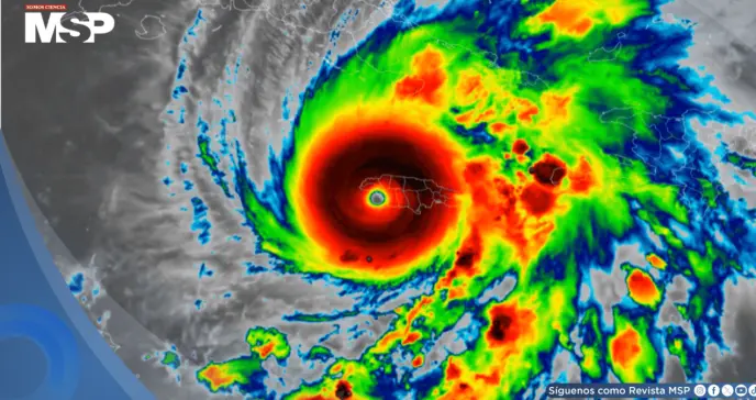
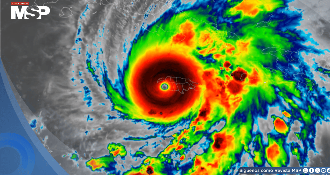
El Caribe enfrenta a estas horas una de las mayores amenazas naturales. El huracán Melisa, categoría 4, es "extremadamente peligroso y potencialmente catastrófico" según datos del Centro Nacional de Huracanes, se desplaza hacia el noroeste caribeño con una fuerza que no se registraba desde hace 174 años.
Mientras Jamaica sufre ya los primeros embates del ciclón, Cuba se prepara para un impacto directo que podría ser devastador.
En Jamaica, los vientos con fuerza huracanada han comenzado a causar destrucción en la parte occidental de la isla, incluso antes de la llegada directa del ojo del huracán. Las calles de Kingston permanecen desiertas bajo estado de emergencia nacional, mientras la población busca refugio ante lo que se anuncia como una catástrofe.
La situación se extiende por toda la región, donde se anticipan marejadas ciclónicas con olas de hasta cuatro metros que afectarán especialmente las costas sur de Jamaica, Haití y República Dominicana.
En estos países, las autoridades se preparan para enfrentar inundaciones repentinas y deslizamientos de tierra que podrían agravar la ya delicada situación humanitaria en la zona.
Desde Holguín, el doctor Emil Juan Arbella, médico emergenciólogo, describe la crítica situación que vive el oriente cubano. Con la experiencia de quien ha enfrentado huracanes anteriores, el especialista no duda en calificar a Melisa como un evento excepcional.
"Es un huracán de gran categoría que debe llegar a la costa sur de Cuba en la madrugada del próximo miércoles, en un punto entre las provincias de Granma y Santiago, los modelos de pronóstico están avizorando, es muy probable los vientos, las ráfagas de los vientos lleguen a ser superiores a 200 kilómetros por hora, elevados a millas, serían alrededor de 120, 130 millas por hora".
La magnitud del evento ha llevado a comparaciones con los huracanes más destructivos en la memoria reciente de Cuba, aunque el doctor Arbella señala que Melisa representa un desafío particularmente severo.
"Es un evento meteorológico de gran envergadura acá en el Oriente Cubano... En este huracán Melisa se esperan grandes inundaciones, de hecho se pronostica que las inundaciones en las zonas costeras o en las partes bajas de las inundaciones en las provincias de Granma y Santiago, sean de 400 a 500 milímetros de agua, que eso sería casi un metro de agua, se está reportando que es muy probable que existan grandes inundaciones en esa zona".
Las autoridades cubanas han implementado todos los protocolos de emergencia, encontrándose actualmente en la fase más crítica de alerta. El doctor Arbella explica que
"Estamos ya en la fase de alarma, de alarma ciclónica, que es la última fase establecida por la defensa civil. En estos momentos lo primordial es preservar las vidas humanas", advierte. "Por lo general nosotros estamos algo acostumbrados, pero nunca hemos tenido que enfrentar un huracán como Melisa".
Asegura que "lo más importante es preservar las vidas humanas, las personas deben salvaguardarse en lugares totalmente seguros, que no existan árboles en sus alrededores, ni otros posibles peligros".
Por eso, el médico aclaró sobre uno de los aspectos más peligrosos y comúnmente malinterpretados de los huracanes: la falsa calma durante el paso del ojo.
"Es importante saber que mientras estamos en el impacto del ojo del huracán, por lo general hay un sol radiante, hay calma, pero eso no es señal de que el huracán haya pasado" recalca.
"Muchas veces en eventos anteriores, personas imprudentes se han confiado un poco y luego de que pasa esta calma, que es cuando realmente está pasando el huracán, es que entonces vienen las ráfagas de viento superiores, y lamentablemente se pierden vidas humanas", por eso, menciona que en primera instancia, esta aparente "calma o buen clima" no significa que deba bajar la guardia ni salir como cotidianamente lo hace.
Ahora bien, el panorama posterior al huracán preocupa igualmente a las autoridades sanitarias, pues se anticipa una crisis de salud pública multifacética. El doctor Arbella alerta sobre la combinación de enfermedades preexistentes con las condiciones que seguirán al paso del huracán:
"Acá en Cuba ahora mismo estamos enfrentando la leptospirosis, nos están afectando mucho, chikungunya, dengue, zika, oropouche, hay un alza tremenda acá en todos los hospitales de Cuba y con el paso de estas lluvias intensas deben aumentar su alza".
Frente a este escenario, el emergenciólogo insiste en las medidas preventivas fundamentales: "Deben ser muy prudentes en el consumo de agua potable, incluso debe ser hervida para prevenir todas estas enfermedades".
Además, también es importante el saneamiento ambiental para controlar los vectores de enfermedades: "Lo otro es el saneamiento de las zonas, las basuras, que eso hace propicio los focos de mosquitos, el Aedes aegypti, por lo general que es el que transmite todas estas enfermedades, es un mosquito de agua limpia, pero donde hay basura, se pueden hacer focos de mosquitos y por ende propiciar y diseminar todas estas enfermedades", concluye.
Mientras el huracán Melisa continúa su avance, millones de personas en el Caribe aguardan con preocupación el desarrollo de lo que los meteorólogos ya consideran el evento ciclónico más significativo del siglo en la región.